Description
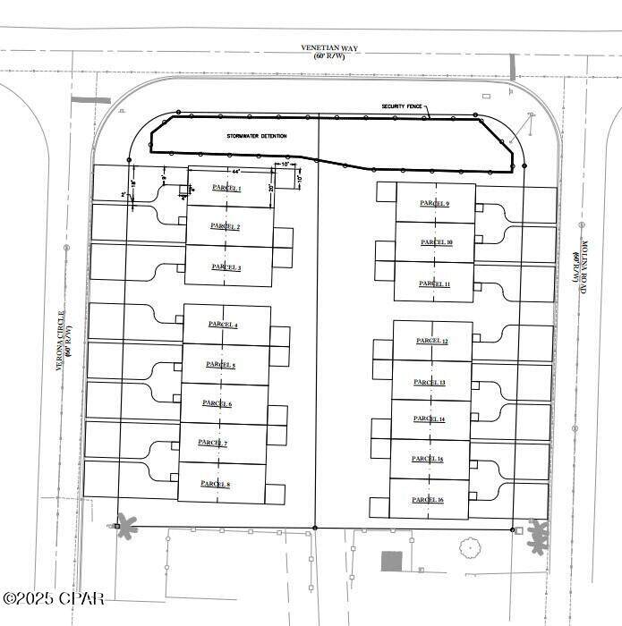
Nearly a full acre, cleared with street frontage on 3 sides, roads in place, utilities in street, and MU3 zoning allows for 20 units per acre. A 16 unit townhome subdivision development is a good fit. Preliminary site plan indicates unit pad site of 20 x 42 each unit, sufficient for a 3 br - 2.5 bath + single garage. Layout options include a 5 plex + 3 plex or 4 plex + two duplexes down each street. Located in the north central metro area with close access to Hwy 390. Preliminary site plan options included in documents. Former building was demolished, and pool has been excavated, back filled and compaction test completed. Survey and multiple lay out options included in documents. Closing Agent will be Denise ''Dede'' Rowan. @ Dunlap & Shipman. 558 Harrison Avenue, Panama City, FL. Engineering services are in process, working toward a development order. Engineering costs will be an added cost to the buyer as the process moves forward.
-
0BEDS
-
0.96ACRES
-
0BATHS
-
01/2 BATHS
School Information
Description
Nearly a full acre, cleared with street frontage on 3 sides, roads in place, utilities in street, and MU3 zoning allows for 20 units per acre. A 16 unit townhome subdivision development is a good fit. Preliminary site plan indicates unit pad site of 20 x 42 each unit, sufficient for a 3 br - 2.5 bath + single garage. Layout options include a 5 plex + 3 plex or 4 plex + two duplexes down each street. Located in the north central metro area with close access to Hwy 390. Preliminary site plan options included in documents. Former building was demolished, and pool has been excavated, back filled and compaction test completed. Survey and multiple lay out options included in documents. Closing Agent will be Denise ''Dede'' Rowan. @ Dunlap & Shipman. 558 Harrison Avenue, Panama City, FL. Engineering services are in process, working toward a development order. Engineering costs will be an added cost to the buyer as the process moves forward.
© 2025 Central Panhandle Association of Realtors MLS. All rights reserved. IDX information is provided exclusively for consumers' personal, non-commercial use and may not be used for any purpose other than to identify prospective properties consumers may be interested in purchasing. Information is deemed reliable but is not guaranteed accurate by the MLS or Abbott Martin Group | eXp Realty. Data last updated: 2025-11-09T00:03:58.547.

Listing provided courtesy of GILES APPRAISAL GROUP, INC: 850-769-6593. Listing information © 2025 Central Panhandle Association of Realtors MLS.